2024. 7. 6. 아사히다케.
오후에 비 예보가 있어서 마음이 조급하고 발걸음이 바빠지는데
지난 해 봤던 녀석들 이외에 특별한 녀석들은 눈에 띄지 않고
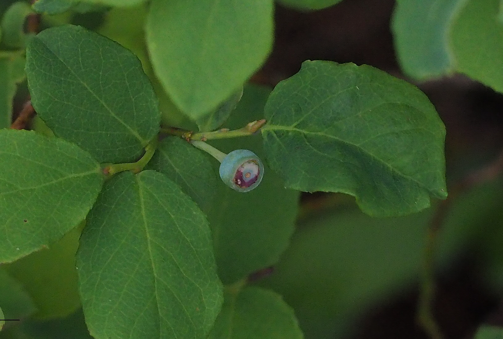
그래도 보이는 대로 담다가 산앵도나무속 녀석의 열매를 찾았다.









월귤 꽃 : https://qweenbee.tistory.com/8903971 https://qweenbee.tistory.com/8908274
월귤 꽃(대설산) https://qweenbee.tistory.com/8910796 https://qweenbee.tistory.com/8910724
https://qweenbee.tistory.com/8911560
월귤 열매 : https://qweenbee.tistory.com/8890666 https://qweenbee.tistory.com/8891286
https://qweenbee.tistory.com/8901315 https://qweenbee.tistory.com/8904654
https://qweenbee.tistory.com/8910599
Gaultheria pyroloides : https://qweenbee.tistory.com/8910791 (대설산)
Pieris nana : https://qweenbee.tistory.com/8910755 (대설산)
넌출월귤 꽃 : https://qweenbee.tistory.com/8901318 https://qweenbee.tistory.com/8904656
넌출월귤 열매 : https://qweenbee.tistory.com/8890667 https://qweenbee.tistory.com/8904067
https://qweenbee.tistory.com/8910600
흑월귤? : https://qweenbee.tistory.com/8910720 (대설산)
들쭉나무 꽃 : https://qweenbee.tistory.com/8888162 https://qweenbee.tistory.com/8903972
https://qweenbee.tistory.com/8904657 https://qweenbee.tistory.com/8910598
https://qweenbee.tistory.com/8910723 (대설산)
들쭉나무 열매 : https://qweenbee.tistory.com/8890664 https://qweenbee.tistory.com/8891285
https://qweenbee.tistory.com/8890665 https://qweenbee.tistory.com/8901327
https://qweenbee.tistory.com/8904655 https://qweenbee.tistory.com/8910598
산앵도나무속 Vaccinium ovalifolium (대설산) : https://qweenbee.tistory.com/8910754
https://qweenbee.tistory.com/8910772 https://qweenbee.tistory.com/8911255
https://qweenbee.tistory.com/8911256 https://qweenbee.tistory.com/8911556
진퍼리꽃나무 : https://qweenbee.tistory.com/8903973 https://qweenbee.tistory.com/8907037
https://qweenbee.tistory.com/8908270 https://qweenbee.tistory.com/8908273
https://qweenbee.tistory.com/8910597 https://qweenbee.tistory.com/8911139
진퍼리꽃나무 열매 : https://qweenbee.tistory.com/8910596
장지석남 : https://qweenbee.tistory.com/8904066 https://qweenbee.tistory.com/8904065
가솔송 : https://qweenbee.tistory.com/8904267 https://qweenbee.tistory.com/8910760 (대설산)
가솔송 열매: https://qweenbee.tistory.com/8890519 https://qweenbee.tistory.com/8911559
가솔송 교잡종 : https://qweenbee.tistory.com/8910761 (대설산)
푸른가솔송 : https://qweenbee.tistory.com/8910762 (대설산)
정금나무 꽃 : https://qweenbee.tistory.com/8890170 https://qweenbee.tistory.com/8888234
https://qweenbee.tistory.com/8889291 https://qweenbee.tistory.com/8890245
https://qweenbee.tistory.com/8893731 https://qweenbee.tistory.com/8896043
https://qweenbee.tistory.com/8905510
정금나무 열매 : https://qweenbee.tistory.com/8890600 https://qweenbee.tistory.com/8891089
https://qweenbee.tistory.com/8889217 https://qweenbee.tistory.com/8889218
https://qweenbee.tistory.com/8890961 https://qweenbee.tistory.com/8887097
https://qweenbee.tistory.com/8894533 https://qweenbee.tistory.com/8894753
https://qweenbee.tistory.com/8897945 https://qweenbee.tistory.com/8898355
https://qweenbee.tistory.com/8899660
모새나무 꽃 : https://qweenbee.tistory.com/8894104 https://qweenbee.tistory.com/8894105
https://qweenbee.tistory.com/8894106 https://qweenbee.tistory.com/8897944
https://qweenbee.tistory.com/8897946 https://qweenbee.tistory.com/8904278
https://qweenbee.tistory.com/8907516
모새나무 어린 잎 : https://qweenbee.tistory.com/8893732 https://qweenbee.tistory.com/8892088
https://qweenbee.tistory.com/8899512 https://qweenbee.tistory.com/8905513
모새나무 열매 : https://qweenbee.tistory.com/8892702 https://qweenbee.tistory.com/8891088
https://qweenbee.tistory.com/8894899 https://qweenbee.tistory.com/8901627
https://qweenbee.tistory.com/8909626 https://qweenbee.tistory.com/8909758
https://qweenbee.tistory.com/8911491
산매자나무 꽃 : https://qweenbee.tistory.com/8890480 https://qweenbee.tistory.com/8888510
https://qweenbee.tistory.com/8897848 https://qweenbee.tistory.com/8897903
https://qweenbee.tistory.com/8899511 https://qweenbee.tistory.com/8910504
산매자나무 열매 : https://qweenbee.tistory.com/8898352
산매자나무 종자 : https://qweenbee.tistory.com/8898507
산앵도나무 꽃 : https://qweenbee.tistory.com/8890159 https://qweenbee.tistory.com/8885973
https://qweenbee.tistory.com/8891276 https://qweenbee.tistory.com/8895956
https://qweenbee.tistory.com/8899513 https://qweenbee.tistory.com/8901086
산앵도나무 열매 : https://qweenbee.tistory.com/8888875 https://qweenbee.tistory.com/8892606
https://qweenbee.tistory.com/8894532
산앵도나무 종자 : https://qweenbee.tistory.com/8898507
블루베리 꽃 : https://qweenbee.tistory.com/8889287
블루베리 열매 : https://qweenbee.tistory.com/8891284 https://qweenbee.tistory.com/8897947